Why this year’s climate conditions helped Hurricane Beryl smash records

Past Atlantic hurricane seasons almost seem “like a foreign climate,” an expert says

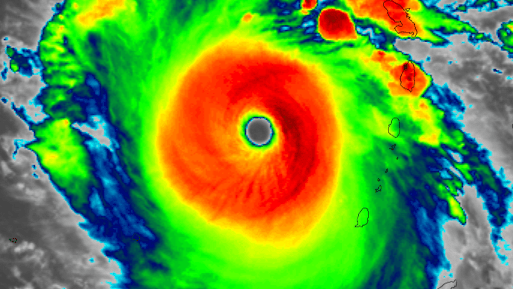
hurricane Beryl

On July 1, Hurricane Beryl (shown) became the earliest Atlantic storm on record to grow to Category 5 status.

CIRA/CSU, NOAA

Hurricane Beryl, the Atlantic Ocean’s first hurricane in 2024, began roaring across the Caribbean in late June, wreaking devastation on Grenada and other Windward Islands as it grew in power.