All Stories

  1. Animals

    Tiny saunas help frogs fight off chytrid fungus

    Balmy shelters could bolster resistance to the deadly fungus in amphibian populations, but experts caution they won’t work for all susceptible species.

    By
  2. Health & Medicine

    How doctors can help demystify birth control amid online confusion

    There’s a larger takeaway from some social media content about hormonal birth control side effects: People aren’t getting the information they need.

    By
  3. Health & Medicine

    Bird flu viruses may infect mammary glands more commonly than thought

    H5N1 turning up in cow milk was a big hint. The virus circulating in U.S. cows can infect the mammary glands of mice and ferrets, too.

    By
  4. Space

    50 years ago, scientists were gearing up to hurl a probe at the sun

    The Helios mission provided key insights into the sun. Now, NASA’s Parker Solar Probe has taken up the mantle, giving scientists unprecedented views of the star.

    By
  5. Environment

    Federally unprotected streams contribute most of the water to U.S. rivers

    A 2023 U.S. Supreme Court ruling that ephemeral streams aren’t protected by the Clean Water Act could have sizable ripple effects, a study suggests.

    By
  6. Cosmology

    Strange observations of galaxies challenge ideas about dark matter

    A new look at how light bends as it travels through the universe could point to an alternative theory of gravity.

    By
  7. Health & Medicine

    Some people have never gotten COVID-19. An obscure gene may be why

    A trial that purposely exposed volunteers to COVID-19 revealed key immunological differences that may explain why some people can dodge SARS-CoV-2.

    By
  8. Physics

    Advanced nuclear reactors need a different type of uranium. Here’s 4 things to know 

    The nuclear fuel of the future may be HALEU, high-assay low-enriched uranium. But questions about the material remain.

    By
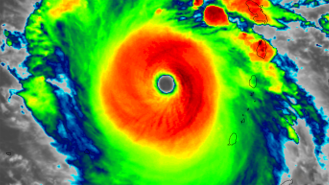
  9. Climate

    Why this year’s climate conditions helped Hurricane Beryl smash records

    Scientists predicted an active hurricane season, but a July Category 5 storm is still stunning.

    By
  10. Health & Medicine

    A bizarre video of eyeballs illustrates our pupils shrink with age

    Pupil size can decrease up to 0.4 millimeters per decade, hinting at why it can be increasingly harder for people to see in dim light as they age.

    By
  11. Tech

    This 3-D printer can fit in the palm of your hand

    Researchers developed a chip-based device for 3-D printing objects on the go.

    By
  12. Astronomy

    A stellar explosion may add a temporary ‘new star’ to the night sky this summer

    A nova occurs in the constellation Corona Borealis once every 80 years. Its bright light will be visible to the naked eye for up to a week.

    By